search
f
แขวงทางหลวงตราด
Trat Highway District
วิสัยทัศน์ : พัฒนาทางหลวงให้ปลอดภัย เชื่อมโยงโครงข่ายพื้นที่ชายแดน
หน้าแรก
เกี่ยวกับเรา
ประวัติความเป็นมา
โครงสร้างหน่วยงาน
ฝ่ายปฏิบัติการ
หมวดทางหลวงวังกระแจะ
หมวดทางหลวงแหลมกลัด
หมวดทางหลวงช้างทูน
หมวดทางหลวงด่านชุมพล
หมวดทางหลวงขลุง
ฝ่ายวิศวกรรม
งานวางแผน
เว็บไซต์ส่วนงานวางแผน
งานปรับซ่อม
งานอำนวยความปลอดภัย
ฝ่ายบริหารงานทั่วไป
งานสารบรรณ
งานสารสนเทศ
งานพัสดุและสัญญา
งานการเงินและบัญชี
สายทางควบคุม
สายทางควบคุมแขวงทางหลวงตราด
หมวดทางหลวงวังกระแจะ
หมวดทางหลวงแหลมกลัด
หมวดทางหลวงช้างทูน
หมวดทางหลวงด่านชุมพล
หมวดทางหลวงขลุง
ภารกิจแขวงทางหลวง
แผนยุทธศาสตร์กรมทางหลวง
บริการประชาชน
ร้องเรียนร้องทุกข์
สอบถามระยะทาง
สภาพการจราจร
ข่าวสารงานทาง
วารสารออนไลน์
กฎหมายและระเบียบทางหลวง
คู่มือประชาชน
โครงการทางหลวง
โครงการทางหลวงที่อยู่ระหว่างดำเนินการ
วิสัยทัศน์ : พัฒนาทางหลวงให้ปลอดภัย เชื่อมโยงโครงข่ายพื้นที่ชายแดน
หน้าแรก
/
ข้อมูลข่าว
ข้อมูลข่าว
ค้นหา
ประเภทข่าว
แสดงทั้งหมด
ข่าวสารงานทาง
หัวข้อข่าว
แสดง
ลำดับ
วันที่
ภาพหน้าปก
หัวข้อข่าว
61
24/08/2567
กรมทางหลวงระดมเจ้าหน้าที่พร้อมเครื่องจักรลงพื้นที่เคลียร์ทางหลวง 4 จังหวัดภาคเหนือ สรุปสถานการณ์ประจำวันที่ 24 ส.ค. 67 พบทางหลวงผ่านไม่ได้ 4 แห่ง
62
23/08/2567
วันที่ (23 สิงหาคม 2567) หารือในประเด็น แบบก่อสร้าง รายการก่อสร้าง ขั้นตอนด้านพัสดุและสัญญา ร่างความตกลงการก่อสร้าง และแผนระยะเวลาการดำเนินโครงการ เพื่อให้ได้ข้อสรุปในโครงการนี้ ซึ่งรัฐบาลทั้งสองประเทศเร่งรัดและให้ความสำคัญ
63
21/08/2567
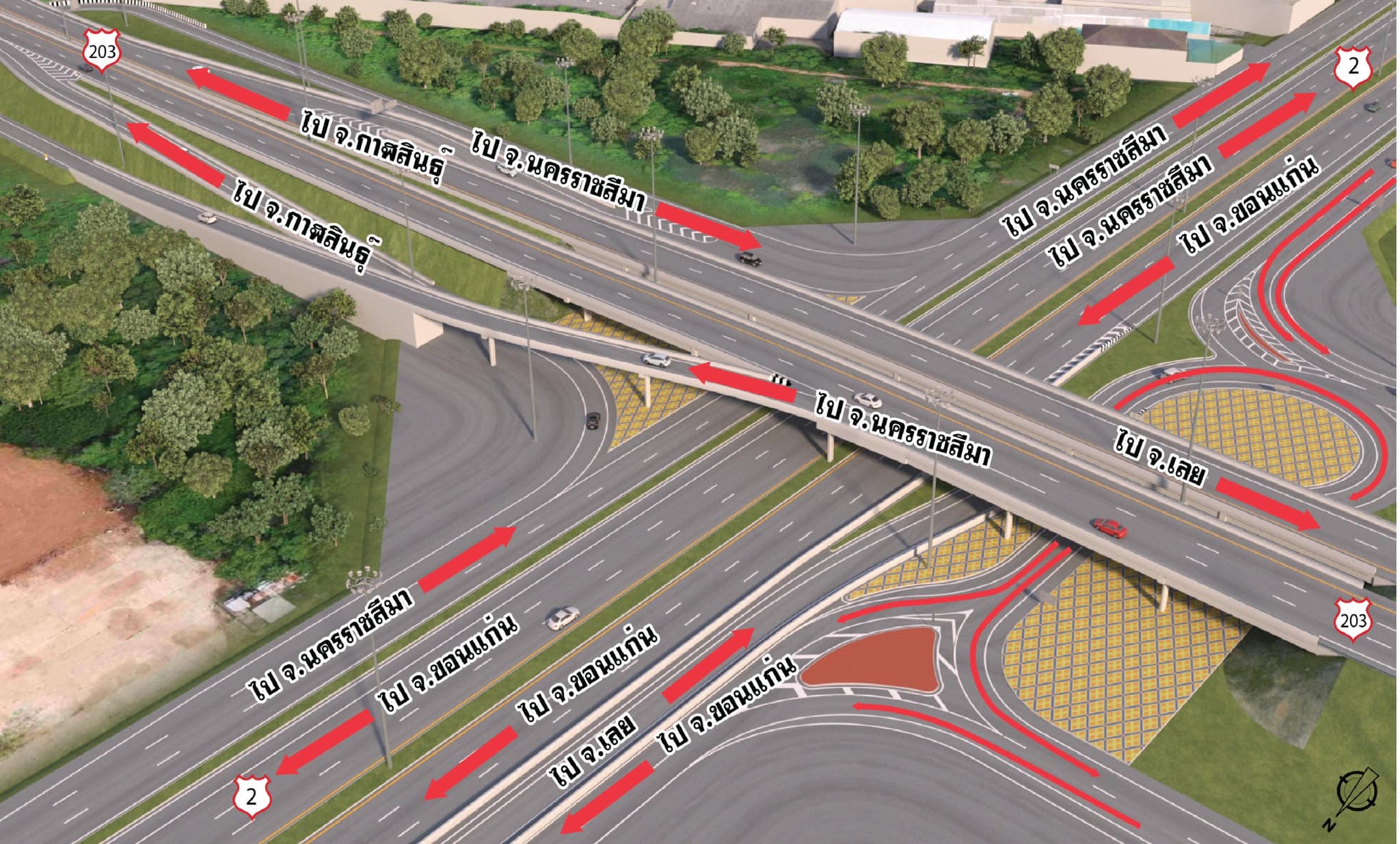
ขอนแก่นเฮ! กรมทางหลวงเริ่มสร้างทางแยกต่างระดับข้ามแยกเมืองเก่า จ.ขอนแก่น ปี 2568 รองรับปริมาณการจราจร ทล.2 และ ทล.230 และยกระดับการคมนาคมภาคตะวันออกเฉียงเหนือ
64
19/08/2567
กรมทางหลวง โดยสำนักก่อสร้างทางที่ 2 ได้ดำเนินโครงการปรับปรุงทางหลวงหมายเลข 212 สาย อ.บ้านแพง อ.ท่าอุเทน ตอน อ.บ้านแพง - บ.โนนสมบูรณ์ ตอน 1 ระหว่าง กม.222+743 - กม.237+000 ระยะทางประมาณ 14.257 กิโลเมตร แล้วเสร็จ เพื่อพัฒนาการคมนาคมภาคตะวันออกเฉียงเหนือสู่ลุ่มแม่น้ำโขง
65
16/08/2567
กรมทางหลวง ผนึกกำลัง สมาคมทางหลวงฯ จัดยิ่งใหญ่เวทีระดับโลก “iCHE 2024” ชูแนวคิด "Future-proofing Roads" พลิกโฉมอนาคตการคมนาคมทางหลวงของเอเชียและภูมิภาคไร้พรมแดน
66
14/08/2567
"ปันร่มกรมทาง" น้ำใจเล็กน้อยแต่ยิ่งใหญ่ จากใจชาวกรมทางหลวง
67
12/08/2567
ทรงพระเจริญ เนื่องในโอกาสวันเฉลิมพระชนมพรรษา สมเด็จพระนางเจ้าสิริกิติ์ พระบรมราชินีนาถ พระบรมราชชนนีพันปีหลวง ๑๒ สิงหาคม ๒๕๖๗ ด้วยเกล้าด้วยกระหม่อม ขอเดชะ ข้าพระพุทธเจ้า ผู้บริหาร ข้าราชการ และเจ้าหน้าที่กรมทางหลวง กระทรวงคมนาคม
68
07/08/2567
ทรงพระเจริญ สมเด็จพระนางเจ้าสิริกิติ์ พระบรมราชินีนาถ พระบรมราชชนนีพันปีหลวง เนื่องในโอกาสวันเฉลิมพระชนมพรรษา วันที่ ๑๒ สิงหาคม ๒๕๖๗ ด้วยเกล้าด้วยกระหม่อม ขอเดชะ ข้าพระพุทธเจ้า คณะผู้บริหาร ข้าราชการ และเจ้าหน้าที่ กรมทางหลวง กระทรวงคมนาคม
69
05/08/2567
สำนักพระราชวัง ขอเชิญชวนประชาชนร่วมเจริญอริยมรรค “สัมมาทิฏฐิ” ระลึกถึงพระรัตนตรัย ว่าเป็นสรณะที่พึ่งที่ยึดถือ อันเป็นทางเป็นธรรมที่พระพุทธองค์ได้ตรัสไว้โดยชอบ เพื่อถวายเป็นพระราชกุศล แด่สมเด็จพระนางเจ้าสิริกิติ์ พระบรมราชินีนาถ พระบรมราชชนนีพันปีหลวง เนื่องในโอกาสวันเฉลิมพระชนมพรรษา ๑๒ สิงหาคม ๒๕๖๗ ผ่านแอปพลิเคชัน “สมาธิเสบียงบุญ”
70
28/07/2567
ขอพระองค์ทรงพระเจริญ เนื่องในโอกาสมหามงคลเฉลิมพระชนมพรรษา ๖ รอบ พระบาทสมเด็จพระเจ้าอยู่หัว ๒๘ กรกฎาคม ๒๕๖๗ ด้วยเกล้าด้วยกระหม่อม ขอเดชะ ข้าพระพุทธเจ้า ผู้บริหาร ข้าราชการ และเจ้าหน้าที่กรมทางหลวง กระทรวงคมนาคม
71
24/07/2567
วันที่ (24 กรกฎาคม 2567) "สุริยะ" รวมพลัง "คมนาคมร้อยดวงใจ เทิดไท้องค์ราชัน" นำพสกนิกร 7,200 คน ถวายพระพรชัยมงคล-ถวายสัตย์ปฏิญาณฯ ร่วมบริจาคโลหิต 2 ล้านซีซี เฉลิมพระเกียรติพระบาทสมเด็จพระเจ้าอยู่หัว เนื่องในโอกาสพระราชพิธีมหามงคลเฉลิมพระชนมพรรษา 6 รอบ 28 กรกฎาคม 2567
72
24/07/2567
แขวงทางหลวงตราด ขอเชิญชวนประชาชนร่วมลงนามถวายพระพร พระบาทสมเด็จพระเจ้าอยู่หัว เนื่องในโอกาสพระราชพิธีมหามงคลเฉลิมพระชนมพรรษา ๖ รอบ ๒๘ กรกฎาคม ๒๕๖๗ ผ่านระบบออนไลน์
73
13/07/2567
ขอพระองค์ทรงพระเจริญ เนื่องในโอกาสวันคล้ายวันประสูติ พระเจ้าวรวงศ์เธอ พระองค์เจ้าโสมสวลี กรมหมื่นสุทธนารีนาถ ๑๓ กรกฎาคม ๒๕๖๗ ควรมิควรแล้วแต่จะโปรดเกล้าโปรดกระหม่อม ข้าพระพุทธเจ้า ผู้บริหาร ข้าราชการ และเจ้าหน้าที่กรมทางหลวง กระทรวงคมนาคม
74
11/07/2567
วันนี้(11 ก.ค. 2567) นายวีรพล วงศ์วิเชียร เลขานุการกรม เป็นผู้แทนอธิบดีกรมทางหลวง ร่วมปลูกต้นไม้โครงการคมนาคมร่วมใจปลูกต้นไม้เฉลิมพระเกียรติ พระบาทสมเด็จพระเจ้าอยู่หัว เนื่องในโอกาสพระราชพิธีมหามงคลเฉลิมพระชนมพรรษา 6 รอบ 28 กรกฎาคม 2567 เพื่อแสดงความจงรักภักดีและสำนึกในพระมหากรุณาธิคุณอันหาที่สุดมิได้ ณ อนุสาวรีย์ผู้กล้าหาญ กรมทางหลวง ถนนศรีอยุธยา
75
08/07/2567
วันนี้ (8 กรกฎาคม 2567) นายสราวุธ ทรงศิวิไล อธิบดีกรมทางหลวง เข้าร่วมพิธีรับต้นไม้ในโครงการคมนาคมร่วมใจปลูกต้นไม้เฉลิมพระเกียรติพระบาทสมเด็จพระเจ้าอยู่หัวเนื่องในโอกาสพระราชพิธีมหามงคลเฉลิมพระชนมพรรษา 6 รอบ 28 กรกฎาคม 2567 โดยมีนายสุริยะ จึงรุ่งเรืองกิจ รองนายกรัฐมนตรีและรัฐมนตรีว่าการกระทรวงคมนาคม เป็นประธานมอบ ณ หอประชุมราชรถสโมสร อาคารราชรถสโมสร ชั้น3 กระทรวงคมนาคม
«
1
2
3
4
5
6
7
8
9
10
»
Copyright © 2017 Department of Highway. All Right Reserved.
Total Visitor: 88,404 Today's Visitor: 358