f
title
แขวงทางหลวงชลบุรีที่ 2
Chonburi 2 highway district
วิสัยทัศน์ : เดินทาง.....บนทางหลวงอย่างปลอดภัย สร้างความพึงพอใจ แก่ผู้ใช้บริการ
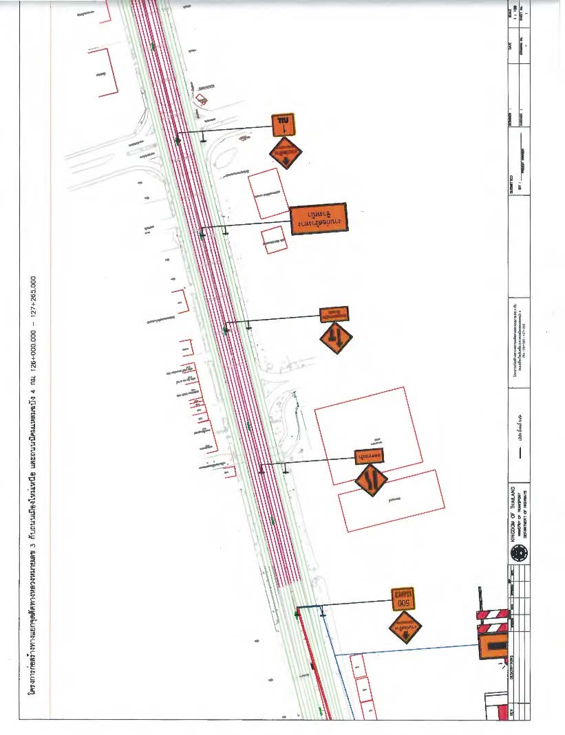
แผนผังการจัดจราจร โครงการก่อสร้างทางแยกจุดตัดทางหลวงหมายเลข 3 กับถนนเมืองใหม่เหนือและถนนนิคมแหลทฉบัง 4 จ.ชลบุรี 1 แห่ง ระหว่าง กม.126+000.000 ถึง กม.127+265.000 รวมระยะทาง 1.265 กิโลเมตร ตั้งแต่วันที่ 18 - 24 กรกฎาคม 2565
ลงวันที่ 19/07/2565
แผนผังการจัดจราจร โครงการก่อสร้างทางแยกจุดตัดทางหลวงหมายเลข 3 กับถนนเมืองใหม่เหนือและถนนนิคมแหลทฉบัง 4 จ.ชลบุรี 1 แห่ง ระหว่าง กม.126+000.000 ถึง กม.127+265.000 รวมระยะทาง 1.265 กิโลเมตร ตั้งแต่วันที่ 18 - 24 กรกฎาคม 2565 ในระหว่างดำเนินการอาจทำให้ไม่ได้รับความสะดวก แขวงทางหลวงชลบุรีที่ 2 ต้องขออภัย ณ โอกาสนี้ และขอให้ประชาชนใช้เส้นทางอย่างระมัดระวัง หรือหลีกเลี่ยงการใช้เส้นทางปฏิบัติตามป้ายเตือน ป้ายแนะนำทางเลี่ยง ป้ายเสริมจากโครงการ และสัญญาณจราจรที่ติดตั้ง เพื่อประโยชน์ต่อการเดินทาง

'